„Wszystkich Świętych” – zmiany w organizacji ruchu w Tychach
31 października 2025 roku rozpoczną się działania związane z dniem "Wszystkich Świętych". Akcja potrwa do 3 listopada. Tyscy policjanci apelują o ostrożną i rozsądną jazdę, dostosowywanie się do oznakowań ograniczających prędkość, zakazujących parkowanie pojazdów czy nakazujących ruch jednokierunkowy.
Utrudnienia w ruchu na tyskich drogach:
- ruch jednokierunkowy na ulicy Nowokościelnej od dnia 31.10.2025 roku od godziny 8:00 do 02.11.2025 roku do godziny 22:00;
- na ulicy Cmentarnej umieszczone zostanie 8 znaków B-36 (zakaz zatrzymywania się) od dnia 31.10.2025 roku od godziny 8:00 do 03.11.2025 roku do godziny 22:00;
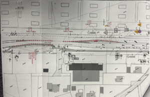
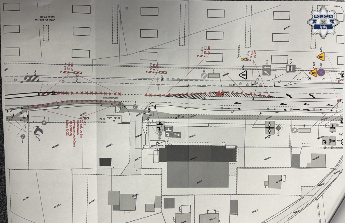
- na ulicy Oświęcimskiej po północnej stronie ustawione zostaną dwa znaki B-36 (zakaz zatrzymywania się) z tabliczkami o treści „Nie dotyczy autobusów ZTM” za wylotem łącznicy bezpośredniej oraz za wlotem łącznicy pośredniej („ślimaka”) w dniach od 31.10.2025 roku od godziny 8:00 do 03.11.2025 roku do godziny 22:00;
- umieszczonych zostanie pięć znaków B-36 (zakaz zatrzymywania się) na południowej jezdni ulicy Oświęcimskiej w dniach od 31.10.2025 roku od godziny 8:00 do 03.11.2025 roku do godziny 22:00;
- na parkingu przy cmentarzu centralnym ustawiony zostanie znak D-19 „TAXI” z tabliczką o treści „4 stanowiska” i strzałką w prawo w dniach 31.10.2025 roku od godziny 8:00 do 03.11.2025 roku do godziny 22:00;
- od dnia 31.10.2025 roku od godziny 8:00 do dnia 3.11.2025 roku do godziny 22:00 ustawione zostaną dwa zestawy znaków B-21 (zakaz skrętu w lewo) na ulicy Oświęcimskiej przed skrzyżowaniem z ulicą Bratków - w dniach 31.10.2025 roku do 03.11.2025 roku, bariery zagradzające fizyczny zjazd w ulicę Bratków pozostaną do dyspozycji i regulacji policjantów przez cały okres obowiązywania zakazu;
- na wjeździe na ulicę Bratków ustawiony zostanie znak C-2 (nakaz jazdy w prawo za znakiem) oraz tablica kierunkową U-3c na wylocie z ulicy Bratków na ulicę Oświęcimską - w dniach 31.10.2025 roku od godziny 8:00 do 03.11.2025 roku do godziny 22:00;
- wygrodzony zostanie odcinek pasa wyłączenia z ulicy Oświęcimskiej w ulicę Beskidzką (kierunek Bielsko – Biała) od jego początku do przejścia dla pieszych w dniach 31.10.2025 roku do 03.11.2025 roku do godziny 22:00;
- na południowej jezdni ulicu Oświęcimskiej od 31.10.2025 roku od godziny 8:00 do 03.11.2025 roku do godziny 22:00 wgrodzony będzię środkowy pas słupkami U-21a uzupełnionymi o tak zwaną falę świetlną
- na północnej jeszdni ulicy Oświęcimskiej od 31.10.2025 roku od godziny 8:00 do 03.11.2025 roku do godziny 22:00 wygordzona będzie nowowybudowana droga dla pieszych słupkami U-21b umieszczonymi na zieleńcu pomiędzy chodnikiem a jezdnią
- na północnej jezdni ulicy Oświęcimskiej od 31.10.2025 roku od godziny 8:00 do 03.11.2025 roku do godziny 22:00 na odcinku od zjazdu z łącznicy do przejścia dla pieszych wygrodzony będzie lewy pas jezdni za pomocą słupków skrajniowych U-21a wraz z barierą U-3c i skosem uzupełnionym o tak zwaną falę świetlną
- lewa strona jezdni wokół pętli na ulicy Cmentarnej od dnia 27.10.2025 roku do 30.10.2025 roku do godziny 22:00 zostanie wygrodzona za pomocą słupków skrajowych U-21a w celu uniemożliwienia przejazdu autobusów przegubowych
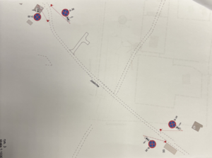
- na ulicę Jaskrów, w rejonie przewężenia pomiędzy posesjami 44 i 62 ustawione zostaną znaki B-36 (zakaz zatrzymywania się) wraz tabliczkami T-25 a i c - w dniach od 31.10.2025 roku do 02.11.2025 roku do godziny 22:00;
- na ulicy Żorskiej od 31.10.2025 roku do 2.11.2025 roku do godziny 22:00 ustawione będą dwa znaki B-36 (zakaz zatrzymywania się) wygrodzone będzie pobocze tablicami kierującymi U21a/b oraz taśmą U-22
- w dniach 25.10.2025 roku - 04.11.2025 roku zostanie zmieniony harmonogram włączania i wyłączania oświetlenia ulicznego - zastosowany zostanie schemat, zgodnie z którym oświetlenie zostanie włączone godzinę wcześniej, a wyłączone godzinę później w celu poprawy bezpieczeństwa pieszych i kierowców;
- w dniu 01.11.2025 roku sygnalizacja świetlna na skrzyżowaniu ulic Oświęcimskiej, Marzanny i Jaskrów zostanie przełączona w tryb migowy.
Poniżej przedkładamy graficzny obraz organizacji ruchu:








